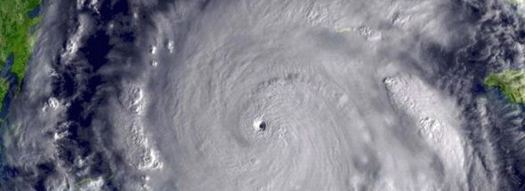
Cancún Gets Early Warning on 2026 Hurricane Season
Conagua expects 11 to 15 Atlantic systems in 2026, prompting Quintana Roo officials to urge early hurricane-season preparation.
Copy and paste this URL into your WordPress site to embed
Copy and paste this code into your site to embed